 
グレートバリア アイランド
 オーストラリア北東海岸に世界最大のサンゴ礁があるのだが、その名前に似た名前の島がニュージーランドの北島沖にある。
 オークランドに所属するその島は、南海の海流の影響を受けて非常に温暖な気候を持ち、開発から免れて自然が多く残っているという。島の形といい地図で見てもカヤック、潜り共に最高の場所だと考えていた。オークランドシティからフェリーもしくは飛行機で行くのが一般的だが、コロマンデル半島の先端からなら直線でわずか20kmほどの距離だ。今回の沿岸の旅において、もっとも有意義な寄り道先として僕はこの島に行くのを楽しみにしていた。
 
3月25日 Stonybay → Medland beach
 夜中じゅうテントの周りをカモがうろつき回り、カヤックをあさったりコッヘルに蹴つまずいたりして騒音を立てていたのでなかなか寝付けなかった。最高のキャンプサイトだったのにも係わらず、何故かイライラが溜まっていた。おかげで寝起きが悪くて7時前に起きたのに、テントから出たのは8時頃。しかしテントから出ると最高の晴天。今日も天気がいいのには救われる。
 この日はコロマンデル半島からグレートバリア島まで渡る予定でいた。
 半島から島までは直線距離で20kmほどしかない。しかし20kmというのは目視ではかなり遠くに見えるもので、けっこう標高のある島なはずだが水平線に微かに見える程度だ。それにこの半島と島の海峡コルビルチャンネルは非常に潮流が流れる為にある程度渡る時間を考えなければならない。
 潮は上げ潮で東から西へ、下げ潮で逆に流れるはずで満潮と干潮の時点での前後2時間が勝負だと踏んでいた。この日の最干潮が12時から13時の間(オークランド港から考えて)。風はとりあえずそれほど強くないと思ったので下げ潮を考えてstony bayから出てすぐにある岬から北東方向にフェリーグライドしながら島に向かい、まずは島南部のBlind bayという場所を3時間以内に目指すことにした。
    朝食は昨日炊いたご飯にキングのヅケをのせて味噌汁をかけたものと、コーヒー。飯をかっ込んでいると散歩をしていたギルバードというアメリカ人がやって来てしばらく立ち話をする。英語がほとんど上達しない僕からしてみれば、旅でいつも同じようなことしか話していないとはいえ、いっちょ前に英語で会話をしているのだからこの国に来た頃に比べると大した進歩だ。
 だがキングのフィレがあるからもしよかったらあげるよと言い、「Thank you」と言われたのでその後テントまで行ったら消えていた…。まだ彼らの本音と建前を読む洞察力は無さそうだ。
 うんざりするキング地獄は免れそうもない。パッキングを済まして出発したのは10時の予定を大きく外れて10時45分になっていた。
 
 入江を出て外洋に出ると風が西から吹いていることに気付いた。湾奥から中は凪いでいたものの、外はざわついていることはわかっていたが、風が変わったとまでは思わなかった。これはラッキーだ。途中、潮が走っている場所もあったり、東からの大きなうねりがやってくることもあったが南西風を後ろから浴びてサーフィンしながらガツガツ距離を稼いでいると11時30分にコロマンデル半島の岬の先端から出発してわずか2時間40分ほど、14時10分にはグレートバリア島沿岸に取りつくことができた。なんとも気持ち悪いくらいの順風満帆。天候が悪ければ渡航中止も考えていただけにこの結果には自分の運の良さに感謝した。
 島の南東端、Cape Barrierもそれほど潮が流れておらず、影響の少ない沿岸スレスレを漕いで通過。荒れると面倒くさい東海岸を先に漕いで反時計回りに島を回ることにしたので風裏になっているベタ凪ぎの東海岸を北上する。
 グレートバリア島南東海岸は絶壁の岩礁帯が続いている。まるで隠岐の島と知床半島を連想させる巨岩と壁が左手に迫り、南海からの海流のせいか、僕にはなじみ深い透明度の高い藍色の海が最高にきれいだ。それまで見ることのなかった外洋にいる大量のサルファ(浮遊性の原索動物)がパドルを入れる度にぽろぽろと砕ける感触を伝えてくる。
 すごいところだ。来て良かったと早くも思う。
 海峡横断でサーフィンをしながら来たためか妙に気だるい気分に後半襲われ、地図を見るのを間違えて岬を一つ勘違いしていたこともあったが集中力が無くなってきて、キャンプ予定のMed lands beachに到着したのは16時15分と早かったものの意外に疲れていた。入口を岬の先端で釣りをやっていたお兄さんに聞き、潮が引いていたので砂浜にカヤックを置いて先にテントとドライバックだけ運んであとは潮が満ちてからキャンプ場のある川のほとりまで運ぶことにする。
 コロマンデル半島のDOCキャンプ場もきれいだったが、ここは島にもかかわらず非常に整えられていて、芝もきれいに刈り込まれトイレ、水シャワーもきれいでゴミ捨て場までありすばらしい。何より人が少ないのがいい。
 テントを立ててしばらく辺りを探索すると明るいうちに夕食を作って食べた。腐り始めたキャベツとランチョンミートの塩スープと米、そしてキングのヅケ。
 テントに入り、ガイド本を読んで明日からの行程を模索する。西風が若干強くなってきたが空は満天の星空だ。ビールが切れた…。あ~ビール飲みたい。 
 
3月26日 Medlands beach → Whangapoua
 特に急ぐ必要がないとわかっていた為に朝は遅い。それにしても昨日よりはよく寝られた。
 この日も見事な快晴。ニュージーランドに来てから車で旅行している時を含めてこれほどまでに晴天が続いたのは初めてだったので、よくぞこの瞬間に!と、嬉しくなる。
 最後の食パンで朝食をとって河原でパッキングをしていると、黒い非常に引き締まった体のラブラドールを連れた紳士がやって来ていつもの出発前の談話を楽しむ。
 彼はオークランドに住んでいてこのグレートバリアと西海岸のピファに別荘を持っており週末になると遊びに来ているという。今でこそ釣りやサーフィン、サーフスキー、スキンダイビングと海の遊びにハマってしまって週末や長期の休暇にはここで過ごしているらしいが若い頃は7000m以上のヒマラヤの山に魅せられて時間の大半を山で費やしたクライマーだったようだ。 
「我々kiwiはもちろん、日本人、韓国人には優れたクライマーが多かったな。急激な天候の変化に敏感だからだろう」
 彼のその言葉が、妙に印象的だ。韓国などの半島や日本列島などは急峻な山岳を持ち、それによって起きる天候の変化は平野においても顕著だ。ニュージーランドにおいては日本よりもそれが激しくクルクル変わる寒さ暑さ、風向き、天気。それに敏感に反応しレイアウドを変えたり、ルートを変えたりする決断の速さはアウトドアにおいては非常に重要な技術だ。そんな海をシーカヤックで旅する僕を元クライマーの彼はリスペクトしてくれたのだろう。ニュージーランドではよくある話なのだが、彼も僕の手帳を取り上げるとサラサラとオークランドの住所と携帯電話の番号を書き、「オークランドに着いた際はぜひ連絡をよこしなさい。うちに泊まって休んでいけ」と言って去っていった。
 住所を見るとデボンポートとある…高級住宅地だよ。さすがだ。
 
 予定の出発時間をまたオーバーしての出発。カヤックのパッキング中に話しかけられて出発が遅れるのはこの旅においてもはや当たり前のことになってきた。しかもこの日は川の河口で予想以上に浅くなっていた為に満載のカヤックを引きづって出艇するのに手こずってさらに出発が遅れてしまった。
 しばらくは長く続く砂浜の沖を延々と漕いで行くことになり、2時間ほど黙々とパドリングを繰り返す。するとWhakatautuna Ptという岬に到着し、ここから沖にあるRakitu Islandに向かう。この島はグレートバリア島と若干地質が異なるようで、真っ黒い岩が多いグレートバリアに比べて白い石灰層が多いように思えた。そしてそれが何ともいえず面白い地形になり、海の透明度と相まって素晴らしい景観を作っている。
 沿岸はロックガーデンが広がり、そこを漕ぎ進むと目の前に白い岩の絶壁が現れてところどころに緑の木々が生えているモザイク模様が素晴らしい。入江の中は浅くなっているのでそこに海藻が生い茂り、海面の上からも魚が見える。 
「こういうの、待ってたんだよ~っ!!」
 テンションアゲアゲ!さすがGBI!…と、意味もなく省略形で呼び、顔をニヤつかせた。
 あまりの透明度の良さにカヤックをThe Coveというどこかのアホな映画名の様な入江にあげて潜ることに。ここも5色の砂が敷き詰められた素晴らしい場所で、何より空の色と相まって思わずキャンプをしたいくらいだ。
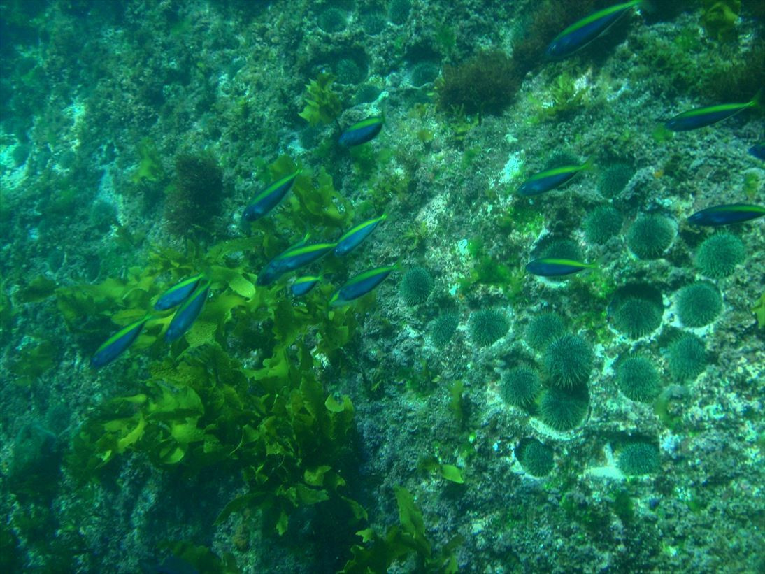
 ウェットスーツに着替えて水の中に入ると、それまで潜ったNZとは違った生物相でスズメダイが多く、ウニもバフンウニに似たkinaではなくて別の種類のウニ(ムラサキウニっぽい)だ。さらに言えばウツボがいるし、メジナもいるし、ブダイもいるし、イシガキフグまでいて、小アジや子供のシマアジの群れがやってくる感じなど、伊豆の海そのまんまである。あまりに調子に乗って潜っていたら、4時に出るはずだったのに5時まで潜ってしまい、カヤックで出発したのは5時半になってしまった…!
 時間に追われるようにガシガシ漕いでいると、1時間で目的のWhangapouaのキャンプ場沖に着いた。ここはマングローブが生い茂る干潟のすぐそばにあり、カヤックだと水路をうまく進まない限り満潮時にしかこられなさそうだ。結果的にこの時間に来られて正解だったようで、ちょうど潮が満ち始めてきてキャンプサイトのすぐそばまでカヤックを運ぶことができた。それまでに少し時間を待ったが、透明度の高い水辺に生えるマングローブを撮影し、浅瀬にやってくるマーブル模様のあるトビエイなどを見ることができておもしろい。
 テントサイトは非常にフラットな場所で、障害物がなく風が東風だったら逃げ場がないように思えたが、この時は特に問題はなかった。
 夕飯を作って食べる。塩漬けにしたキングがいい感じに熟成されてきて何だが妙に美味い。天気も良く、星が非常にきれいなのだが残念なことに蚊が多くてすぐにテントの中に入った。
3月27日 Whangapoua → Miners cove
 6時30分にアラームをかけるが起きたのは6時50分。テントの内側に水滴が付いている。外に出るとものすごい朝露だ。芝生の一本一本に水滴が付いていて朝焼けの光があたってきれいだ。でも不快でもある。外に出ずにテントに入りながらお湯を沸かしコーヒーを入れる。テントの中から朝焼けが見える。それがニュージーランドフラックスのシルエット越しに見えて非常に素晴らしい。
 結局テントからはい出て写真撮影をすることに。
 カヤックに荷物を運びパッキングをする。テントは絞れば水が滴るほどびしょ濡れだが乾かしている時間はない。そのまま放り込み出発の準備を済ませると向こうから昨夜もちょっと話をした気の強そうなおばさんメアリーと、相反して非常に気のいいやさしそうなおじさんブライアンが手をつなぎながら歩いてきた。彼らはウエリントンからやってきており、この島を一週間かけて旅する予定らしい。カヤックの旅の話をしていてスチュワート島やポール・カフィンの話になる。一般の人とも話をしていて出てくるポール・カフィンの偉大さを知る。
 彼らはウエリントンで日本人留学生などのホームステイを受け入れているらしく、多くの日本人と交流していて一度東京にも行ったことがあるらしい。それで話の途中、サンドフライの話になって「この虫がいなければニュージーランドは最高なんですけどね~」と、話を振ったらメアリーが「日本もあんなに人が多くなければとてもきれいな国なのにね」と返してきた。これには思わず笑ってしまった。アイシンクソーである。
 彼らはこれからポートフィッチィロイに行くといい、そこで2泊するというので再会を約束して僕は出発した。やはり出発は遅れたが、満潮の時間にさえ出発できれば問題なかった。
 9時に出発して北上する。Whaikaro Pt を通過する頃には多少風が出てきたが追い風なので特に問題はなし。Rangiwhakaea bayという通称「座礁湾」という縁起でもない名前の付いた湾を横断するといよいよ北に延びたグレートバリアの北端島群が見えてくる。この島々は形が奇抜でとても見るのは楽しそうだが、明らかに潮流の速そうな地形なうえに風の影響も受けそうなのであまり通過したくない。運がいいことにこの日もうねりはあるものの波は穏やかで、ちょっとしたショートカットコースがあることを僕は知っていた。この細長い島の根元に反対側に抜けられる水路があるのでそこを通って島の西側に出ることにした。西風のせいか、波が水路を伝ってこちら側にやってくるので見た目は怖いがタイミングさえ合えば何とかなるだろう。引き波に乗って漕ぎ抜けるとあっさりと島の西側に出られた。正面にリトルバリア島が見える。
 東側と違って西側はものすごい急峻な岩山になっており、ロックガーデンに囲まれた。しばらくは風裏の入江の中だったので普通に漕いでいたが、南下をするに従い南西風が吹き込んできた。そのうち完全な向かい風になり、Miner Headを越えるまではパドリングマシーンと化してひたすら向かい風の中を漕ぎ進んだ。
 この小さな岬を回り込むとMiner coveという入江が見えてくる。この入江の入り口辺りは昔の銅鉱山の跡地があり、きれいに四角く掘られた鉱山の入り口跡の周りには確かに銅と思われる緑色の鉱脈が見える。だがとてもカヤックで上陸する場所にも思えなくてその先を進むと、ガイド本に「kayaker’s delight」とまで書かれるビーチが現れた。手前にはブルーマオマオが海面近くで泳ぎ回っているので手釣り仕掛けのハリにビニールをつけて釣れないか試みたが、さすがにNZの魚もそこまでピュアではなかったようだ。
 浜には小川が流れており、カヤックでしばらく奥まで入れそうだったのでリバーカヤックごっこをやって遊び、浜に上陸した。
 当初はここで昼食を食べてグレートバリア島の玄関口、ポートフィッツロイまで行く予定だったが、きれいな入江、きれいな小川、砂利浜、おあつらえ向きのテントサイト、たくさんの流木、そして目の前にある沖根を前にしてここにキャンプを張らないのがもったいなくなってしまい、まったりすることにした。
 入江の全景を知りたくて崖を上っていったら意外に岩が脆くて、ものすごく痛い棘のある灌木だらけで降りるのにえらい苦労したというのはここだけの話だ…。
 ウエットスーツに着替えてエントリー。左側の海岸を泳いでいき岩下を除くと、いるはいるは、クレイフィッシュ!おまけに海藻の間にはたくさんのスナッパーが隠れている。明らかに今まで潜ったニュージーランドの海より透明度、魚影ともにいい。魚種も多く気合が入る。
 ある岩下を覗いたら馬鹿でかいカサゴがいた。こっちでスコーピオンフィッシュと言われるオニカサゴの類だ。フィッシュマーケットのチャイニーズ料理店で見たことはあったが海では初めてだった。まったく逃げないので遠慮なく眉間に打ち込む。もちろんキルショットで難なく回収。手に持つと考えていたより大きい。50㎝はありそうだ。
 その後、岩下を覗いては手を突っ込みクレイフィッシュを捕獲。かなり日本では大物に入るんじゃないか?というサイズを2匹取る。
 これで十分とも言えたがこの海はなかなかに人を引き付ける。
 さらに沖に見える根に行くと、ここがすげぇ魚影…。カーワイがぐるぐるまわり、80~90㎝ほどのキングフィッシュも数匹ぐるぐるしている。さすがにキングはしばらくいいのでもったいないがスルー。カーワイを一匹突く。こいつはタタキにすると旨いのだ。
 さらに海底で待って大型スナッパーの出現を待ったが、寄ってくるのは30㎝前後の個体のみ。なんとか40㎝オーバーの個体を一匹突いて「さすがにもういらん」と、また岩下を覗きながら浜に戻る。カメラも持ってくればよかった。 
 浜に戻ると記念写真、記録写真を撮り、ウエットスーツを脱いで焚火を起こして料理に入る。エビとタイは丸焼、カーワイはタタキ、スコーピオンフィッシュはフィレを塩漬け、アラはスープにした。料理だけでえらい苦労したが、食べるのはクレイフィッシュを一匹食ったら十分お腹いっぱいになってしまった…。何と贅沢な話だ。イセエビの丸焼きなんてしばらくやることはないだろう。
 腹がいっぱいになると焚火を前にしてワインを飲んだ。
 この旅がはじまって、こうやって流木を燃やして焚火をするのは初めてかもしれない。DOCのキャンプ場は非常に素晴らしいし、ホリデーパークの快適さも捨てがたいのだがやはりこのようなバックカントリーでの焚火を起こしてのキャンプが俺は好きだ。ましてや海で食料は現地調達。一番自分が好きで、一番得意なスタイル。
 好いテントサイトに恵まれてこの日は満足の一日だった。
3月28日 Miner cove → Port Fitzroy
 
 朝8時とだいぶゆっくり起きる。
 今日は昨日行く予定だったポートフィッツロイまでしか漕がないのでだいぶ時間的余裕がある。天気も相変わらずよくて朝露がひどい。
 朝食は昨日のスコーピオンスープに食べなかった炊いた米と余った魚の切り身、エビの身を入れてぐつぐつ煮た雑炊。あまりにもコッテリした色で朝からこんなもの食えるのだろうかと不安になったが、意外に食えたから不思議だ…。それでもさすがに多いので半分はジップロックに入れてランチに回すことにする。
 話がそれそうだが、ジップロックは便利だ。カヤックに限らずキャンプをする旅では大変重宝する。一番いいのは本家本元のアメリカ生まれのジップロックだが、それ以外にも多くのジッパー閉式ビニールが販売されている。ニュージーランドにもあるが、熱に弱く、電子レンジに入れると溶けたりするし、すぐに穴が開くのであまり良くない。まぁ、それは置いといてもやはり便利。このようにランチボックスにもなるし、カヤックに乗っている時にはシビン代わりにもなる。是非旅には携帯したいアイテムである。
 出発するのが名残惜しいほど素晴らしいキャンプサイトを後にして先に進む。出発したのは9時30分と意外に早く出発することができた。昨日潜った沖の根の真上を漕いでいると、やはりカーワイが群れで表層を泳いでいた。しばらく写真を撮ろうと試みるが、実際にファインダー覗かないといい写真は無理だね。あきらめて先を急ぐ。
 グレートバリア島西海岸は複雑に入り組んだ入江と離れ島によってリアス式海岸の様な様相をしている。そして場所によっては荒波によって浸食された奇岩が並ぶ。漕行中も長い岬を回り込もうとしたら根元にトンネルがあり、見事にショートカット成功。そこにはきれいなビーチがあり、上陸するとキャンプ禁止と書いてあった。このあたりはマオリが多く住んでいる場所もあり、聖地なのかもしれない。そんな場所をよく見かけた。
 Katherine Bayを横断するが、当初考えていたグレートバリア島の海とは想像しがたいベタ凪ぎで「これでいいのか??」と、自問自答を繰り返した。まぁ、いいんだろうけど。
 Separation Ptを前に休憩。チョコバーとオレンジを食べてこの難所を漕ぐ前に気合を入れるがこのべた凪ではその気合も空回りするばかりだ。潮はやはり速く、何回か潮が走り、三角波が立つ場所があったものの難なく通過。
 Port Abercrombieに入る前にある洞窟前で宝石の様な鳥を見かけた。カワセミだ。オレンジの体と瑠璃色の羽の色彩のバランスが素晴らしい。岩に囲まれた海岸線の中で彼らを見かけると、なんともファンシーな気分になる。何気にこの国に来て初めてKing Fisherと呼ばれるこの鳥を見た気がする。
 南島にあるKaikouraと同じ名前を持つKaikoura Islandに渡り、そこから今回のキャンプサイトPort Fitzroyを目指す。入江の最奥にあるため最初は小さな島陰に隠れて見えなかったが、中に入ると看板が見えてきた。牡蠣殻が付着したゴロタの多い干潟に面しており、明日は満潮時に出発するしかなさそうである。行けそうなところまでカヤックを引っ張り、そこからは荷物を持って芝生まで歩く。時刻は13時。なんとも漕いだ気のしないパドリングだった。
 荷物を苦労して運び上げ、濡れたテントを張って荷物を放り込むと軽い昼食をとった。
 こんな早い時間に到着してどうするんだ、先に進まないのか?と、お思いだろうが僕にはちょっと寄り道したい場所があった。グレートバリアアイランドには山の中に沸く温泉があり、当初はそこに行きたいと思っていた。しかし場所がイマイチはっきりせず、だいたい見当をつけている場所も少し遠い。そこでもう一つ行ってみたい場所がカウリという、今ではニュージーランドでも数が減った大木で作った木造のダムがあるというのでそれを見に行こうと思ったのだ。ガイド本にもその写真が出ており、なかなか興味を引く建造物だ。ショルダーバックしかなかったがそれらに必要な荷物を放り込み、14時にキャンプ場を後にした。
 グレートバリアアイランドはほとんどアスファルト舗装された道がなく、車道はほとんどが砂利道だ。そこを歩いてWake wayまで行くと、そこからさらに15分ほど歩いて島の森の中を突っ切るForest roadに出て目的のKauri damを目指す。ニュージーランド特有の木性シダや大型シダに囲まれた森に加え、この島はニカウパームというヤシが多く、ほとんど南海の島といった趣だ。
 そんなトレッキングコースを黙々と歩いて行くと対向者がやってきた。おっさん3人は僕に挨拶をすると何か捲し立てた。
「お前、カヤックでこの島を回っているだろう!ヨットから見ていたぞ!!」
 おっさん達は上機嫌で僕の肩をバシバシ叩き、写真を撮ってやると言ってカメラを僕から奪い取り、パシャパシャとシャッターを押した。まぁ、そんな悪い気分ではなかった。彼らは気が済むとカメラを返し、「また会おう!」と言って後ろを見ることなく歩いて行った。
 標識には一時間半の行程とあったが、45分で目的のカウリダムに到着。
 フラットホームがあってそこからしか見ることができず、悔しいのでそこから降りてもっと近づこうと試みたが、看板に書いてあるように本当に滑って危険なので諦めた。
 ダムのバックにはFitzroyと言うだけあって立派な岩山が聳えており、それをちゃんと見たくて高いところに登ろうと、Cooper castle lookoutを目指す。カウリダムから一気に直登するコースでエライ苦労したが、たどり着くと何とも景色のいい場所に出た。島の東海岸が見渡せる岸壁のてっぺんで、目的の岩山は見ることができなかったものの眼下に広がる景色にしばらく見惚れていた。
 16時半までまったりし、そこから急いで来た道を戻るとなんとか18時半にはキャンプ場にたどり着いて夕食を作ることができた。
 夕日の写真を撮っていたらそばにメアリー達がいたのでちょっとだけ話をする。彼らは明日には帰るようだ。
 夕食は昨日獲ったスコーピオンフィッシュの身を入れたパスタと、クレイフィッシュ。クレイフィッシュももちろん美味しかったが、パスタもかなりイケた。それにしてもエビがこんなにも腹にたまるものだとは思わなかった。相当腹いっぱいになる。
 日記を書いてガイド本を見ると自然に眠くなって寝てしまうのだった。
3月29日 Port Fitzroy → The Green
 朝8時に起きると猛烈な朝露に装備のほとんどがびしょ濡れになっていた。無風、芝の上でのキャンプはこれが困りものだ。その分、天気が良いということでもあるのだが。
 昨夜の残りのパスタとコーヒーで朝食をとり、さっそくパッキングを開始。メアリーとブライアンに別れのあいさつをするとカヤックを漕ぎだしたのはちょうど10時だった。
 出発する際、おかしな鳥の声がするので目を向けると白い綿毛が胸にある黒い鳥がとまっていた。トゥイ(Tui)だ。その黒い羽はマオリ族のマントにも使われ、独特の鳴き声は人を何故か引き付ける鳥だ。ビールの銘柄にもなっているほどで見つけるとちょっと嬉しい。カメラを向けるとそそくさと飛び去ってしまった。
 ニュージーランドは哺乳類が少ない分、鳥類が独自の進化を遂げた島国だ。有名な巨大鳥モアをはじめ、飛べない国鳥キウィ。派手な色のクイナ、タカヘやプケコ。高地に生息するオウム、ケアなどニュージーランド固有種は多い。だからバードウォッチャーにはたまらない島なのだろう。鳥にこれと言って興味のない僕でさえ目に入ってしまう珍しい鳥が多い。
 その分、人に迷惑を与える生き物の鳥が占める比重も高い。コロマンデルにいたとは違う種だけど人の食い物をあさりに来るカモはいるし、ウェカのようにそこらじゅうを走り回るウズラの様な鳥もいた。出発する際には白と黒のオイスターキャッチャーが喚く。ともかく、鳥だらけなのだ。
 ベタ凪ぎの島々に囲まれた湾の中を漕いでいると一時間ほどでMan of Pass easeというやたら細い水路に出る。船も通過するので前後をよく確認しての通過だが、見晴らしが悪いので危ない場所だ。ここを過ぎると南風が強く吹き始めて向かい風となった。これがだるそうなので陸際をじりじりと南下しようと考えていたものの、漕げないほどではないので沖合にある島群の風裏に入りながらBroken Islandsを目指す。
 島々は奇岩が続いており、波浪で削られたのかめちゃくちゃな形をしていて面白い。だが、風はあるもののうねりはなく、島や岩礁帯を抜ける時のスリルには欠ける。アーチの様な洞窟がないのもイマイチだ。
 Broken Islandsに到着すると西側から沿岸を漕ぎ、真中にある島の浜に上陸した。黒いゴロタのビーチで非常に気持ちがいい。大きなポフトゥカワの木がところどころに生えており、その前に座って記念写真など撮る。あまりの大きさにその対比を写真に撮りたく、登っては降りて、登っては降りてセルフタイマーを撮るが、D60ではセルフタイマーの秒数がちょうどいいタイムに設定できないのが悔やまれた…。
 思いのほか長居してしまい、少し焦って淡々とパドリングをし、Junction Islandsの南側から入って目的地のBowling Alley Bayに着いたのは13時半といったところだ。
 ここでウエットスーツを着てグレートバリアアイランド、最後のダイブと気合を入れたものの、ここが何故か妙ににごっているうえに美味そうな魚が何もいない!そして何より深ケェ!!深い入り江なのでヨットが停泊するのか、釣りで釣れた魚のあらをみんな捨てる為にエイが多くみられる。
 仕方ないので潮通しがいい岬の先端まで行ってみるが見事に潮が速くて波の影響も強い。頑張って潜って壁につかまりじっと我慢していても、やってくるのはシルバードラマー(イスズミ)ばかりである(しかも超デケェ…)。まるで伊豆諸島で潜っている時のダメパターンそっくりなので魚は諦め、クラックの中にいたクレイフィッシュを一匹捕まえて浜に戻った。
 浜に戻ると潮がまだ引いていて、フジツボの付着したゴロタ浜にカヤックを滑りだす気にはなれず、潮が満ちるまでクッキーなど食べながら待ち、16時45分に出発した。
 日没の関係もあるしキャンプ場を無事見つけられるかも不安だったのでもう真っ直ぐに目的地Whangaparapara HarbourのキャンプサイトThe Greenを目指そうとしたのだが、いきなり目の前に鳥山が現れ、下からはカウワイがボイルしているではないか…!ひょっとしたら釣り針だけでも釣れるんじゃないかと手巻き仕掛けのハリと錘を放り投げて手で引っ張ったりしてみたがさすがに釣れず、写真など撮っていたらさすがに焦り、その後は黙々とパドリングをして目的地に向かった。
 風が向かい風だったのをすっかり忘れていて、Whangaparapara Harbouの入口に着いたのが18時半、キャンプ場にたどり着いたのはすでに19時になっており、もう時間ぎりぎりの頃だった。
 The Greenはその名前の通り緑の森と草原しかないジメジメした場所で、よくもまぁ、こんな場所に作ったものだと思えるキャンプ場だった。サンドフライと蚊がやたらいて、なんでDOCのキャンプサイトは湿地帯の近くばかりに作られるのか、そのセンスを知りたい…。まぁ、海が時化ててもテントが張れるという理由なのだろうけどね。
 オーストラリア人の先客がいて、挨拶をして少し話をする。Dave(オーストラリア人なのでデイブではなくてダイブ)という名前で、彼はトレッキングでこの島を回っているらしい。誰も来ないと思って東屋にテントを張っていたので申し訳ないと律儀に謝っていた。良い奴そうだったが、長期間の旅のせいかあまりにも臭いので離れた場所にテントを張った。
 夕食はカウワイの漬けが腐りそうだったのでそれを玉葱と炒めたものにマヨネーズかけてご飯を食べる。それとエビは味噌汁にした。うめぇ。ワインが無くなったのでコーヒーを飲み、後輩から日本のお土産としてもらった芋焼酎をグビリとやり、日記を書く。
 腹がいっぱいで猛烈に気持ち悪く、激烈に眠い…。明日はコロマンデルに戻る日で、天候が気にはなっていたがその心配もどこ吹く風、いつの間にかいつものように眠っていた。
3月30日 The Green → Port Jackson
 
 
 
 
 
 
 
 
 
 
 
 
 
 
 
 
 
 
 
 
 
 
 
 
 
 
 
 
 
 
 
 
 
 
 
 
 
 
 
 
 
 
 
 
 
 
 
 
 
 
 
 
 
 
 
 
 
 
 
 
 
 
 
 
 
 
 
 
 
 
 
 
 
 
 
 
 
 
 
 
 
 
 
 
 
 
 
 
 
 
